Acoustic Data Analysis

Expert analysis and reporting

At JASCO, we work with clients to provide the appropriate results when they are needed:

  • Preliminary interpretations of results in the field;

  • Fully analyzed and interpreted results in comprehensive reports;

  • Synthesis of multi-year results into comprehensive soundscape descriptions.

Our rigorous editorial review process ensures quality in our reports, and our senior scientific reviewers verify each report before delivery to ensure it is scientifically accurate and focused on our client's objectives.

 

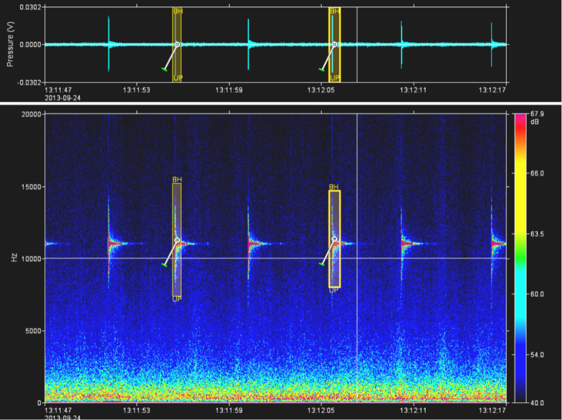
Advanced automated processing and detection

Our comprehensive data analysis software suites are continually developed and improved to keep up with   innovations in the field and our own internal research programs. We use high-performance computing clusters to efficiently and reliably process large volumes of acoustic data to provide:

  • Automated detection and identification of marine mammal calls;

  • Ambient sound level calculations;

  • Seismic survey event detection and quantification;

  • Vessel sound detection and quantification;

  • Pile-driving sound detection and quantification.

Our specialized bio-acousticians review samples to confirm the automated marine mammal detections and identifications; they also interpret the vocalization data in the context of the given project and environment.

Specialized manual analysis

Our specialized bio-acousticians review audio samples and spectrograms to confirm the automated marine mammal detections and identifications and to interpret vocalizations in the context of the given project and environment. Analysts review the data to:

  • Identify presence or absence of vocalizations for marine mammal species of interest;

  • Classify marine mammal calls by species and call type;

  • Identify presence or absence of seismic survey activity;

  • Characterize the time and frequency parameters of acoustic events.

Our manual analysis protocols are customized to meet the needs of your project.

Real-time analysis: passive acoustic monitoring

Our analysts provide real-time passive acoustic monitoring  solutions in the field. The experienced PAM operators listen to the acoustic data and inspect the spectrograms of the measured sound levels in real time.

They log all anthropogenic noise events and marine mammal calls and can immediately notify survey operators of marine mammal detections. The raw data and a brief detection report can be provided immediately.

Learn more

ECHO Program | Vessel Noise Correlations Studies

January 2021 — British Columbia, Canada

Client: Port of Vancouver

Phase 2 Report (January 2021)

Phase 1 Report (May 2020)

A two-part study for the Vancouver Fraser Port Authority ECHO Program analyzing the statistical correlations between vessel design characteristics and underwater radiated noise levels, to determine design or operational characteristics that may be correlated with louder or quieter sound levels.

Phase 1 of the study analyzed data collected from Haro Strait and the Strait of Georgia between 2015-2018. Phase 2 expanded to include: data collected by JASCO’s Boundary Pass Underwater Listening Station from 2018-2020; more detailed ship characteristics for a subset of vessels; and analysis of the variability in underwater radiated noise levels for repeat passes of the same ship.

A collaboration with ERM and Acentech.


Johan Castberg Passive Acoustic Monitoring: Marine Mammal Acoustic Occurrence and Soundscape Analysis

September 2020 — Norway

Client: Equinor ASA

An analysis of underwater acoustic data measured at the Johan Castberg oil field in the southern Barents Sea at three locations from October 2018 until June 2019 to assess the presence of marine mammals and characterize the underwater soundscape. Five marine mammal species were detected during the study: fin, humpback, killer, sperm whales and a dolphin species whose signals were tentatively attributed to white-beaked dolphins. Because of the limited human activity recorded in the study area, the results provide a good baseline against which to assess the occurrence of marine mammals in the study area in the future.


Baffinland Iron Mines Corporation–Mary River Project: 2018 Passive Acoustic Monitoring Program

May 2019 — Nunavut, Canada

Clients: Golder Associates Ltd, Baffinland Iron Mines Corporation

Five recorders, deployed north of the 72nd parallel in Milne Inlet, measured sound levels for 8 weeks from shipping activities associated with the Mary River mine site in northern Baffin Island. The underwater soundscape and its noise contributors were analyzed and quantified, and acoustic presence was determined for narwhals, killer whales, and ringed seals.


Study of Quiet-Ship Certifications

March 2019 — British Columbia, Canada

Client: Transport Canada Innovation Centre

An analysis using the ECHO Ship Noise Database to assess the conservativeness of five vessel noise certification societies. A multi-variate linear regression analysis of the database produced a powerful vessel noise model for predicting ship noise based on ship type and operating conditions. A final study examined noise savings that could be achieved if 90% of vessels conformed with thresholds based on median noise emission levels of ECHO measurements.


ESRF Study | Analysis of Acoustic Particle Motion Data from the Svein Vaage Airgun Study

September 2018 — Norway

An Environmental Studies Research Fund project

A detailed analysis of particle motion and hydrophone datasets from an airgun in a deep fjord in Norway. JASCO used the hydrophone measurements to derive corrections for the sensitivities and positions of the nearby M20s, a new type of particle motion sensor. The corrected measurements were then used to validate the pressure and particle acceleration predictions for single airguns of JASCO's Airgun Array Source Model. Part of ESRF Project 2014-02S, providing new results to inform future environmental assessments of human activities on Canada’s East Coast.